Jakarta, Pahami.id –
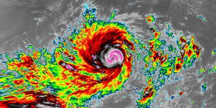
Badan Meteorologi, Klimatologi, dan Geofisika (BMKG) membenarkan kenaikan status tersebut Benih Topan 91s Di Samudera Hindia barat daya Lampung telah terjadi siklon tropis Bakung sejak Jumat (12/12) pukul 19.00 Wib.
Hasil analisis BMKG menunjukkan siklon tropis Bakung memiliki kecepatan angin maksimum 35 knot (65 km/jam) dengan tekanan di sekitar sistem mencapai 1000 hPa dan bergerak ke arah barat daya wilayah Indonesia.
Kepala BMKG Teuku Faisal Fathani menjelaskan, meski siklon tropis Bakung bergerak dari wilayah Indonesia, namun secara tidak langsung masih dapat berdampak pada cuaca dan kondisi gelombang tinggi dalam satu hingga dua hari ke depan.
Berdasarkan hasil pemantauan tersebut, dalam beberapa hari terakhir BMKG telah menyampaikan peringatan dini dan berkelanjutan kepada masyarakat dan sektor terkait, kata Faisal dalam jumpa pers perkembangan bibit siklon 91S dan 93S di Indonesia, Jumat (12/12) sore.
Faisal mengatakan dalam 24 jam ke depan (13 Desember 2025), kecepatan angin maksimum siklon tropis Bakung diperkirakan meningkat hingga 55 knot (100 km/jam).
Menurut dia, terjadi peningkatan intensitas sistem siklon dua kategori tersebut dengan tekanan angin di sekitar sistem mencapai 988 hPa dan pergerakan ke arah barat daya semakin menjauhi wilayah Indonesia.
Dampak tidak langsung dari siklon tropis Bakung di wilayah Indonesia adalah potensi hujan dengan intensitas sedang hingga lebat di sebagian wilayah Bengkulu, Lampung, dan Banten, ujarnya.
Sementara itu, Faisal mengatakan, angin kencang berpotensi terjadi di Bengkulu dan gelombang tinggi (1,25-2,5 m) berpotensi terjadi di Samudera Hindia Bagian Barat, Kepulauan Mentawai hingga Lampung, Samudera Hindia selatan Banten hingga Jawa Barat, dan Selat Sunda bagian selatan.
Benih Siklon Tropis 93S
Wakil Ahli Meteorologi BMKG Guswanto meminta masyarakat mengetahui perkembangan siklon tropis 93S yang saat ini masih terpantau di Samudera Hindia selatan Bali-Nusa Tenggara, tepatnya di sekitar 12,0°LS 115,8°BT.
Hasil analisis BMKG menunjukkan 93s diperkirakan bergerak lambat ke arah barat daya wilayah Indonesia dan dalam 24 hingga 72 jam ke depan masih kecil kemungkinannya berubah menjadi siklon tropis.
“Secara tidak langsung, 93an juga memicu potensi cuaca ekstrem dalam beberapa hari ke depan.
Direktur Meteorologi Publik BMKG Andri Ramdhani menjelaskan, melihat potensi dampak tidak langsung dari siklon tropis Bakung dan adanya sistem benih siklon 93S, BMKG menyarankan agar masyarakat di wilayah terdampak terus waspada.
“Masyarakat pesisir dan pihak-pihak yang terlibat dalam kegiatan kelautan diharapkan mewaspadai gelombang tinggi di beberapa perairan dan menyesuaikan kegiatan operasional,” kata Andri.
(Fra/Kna/Fra)

